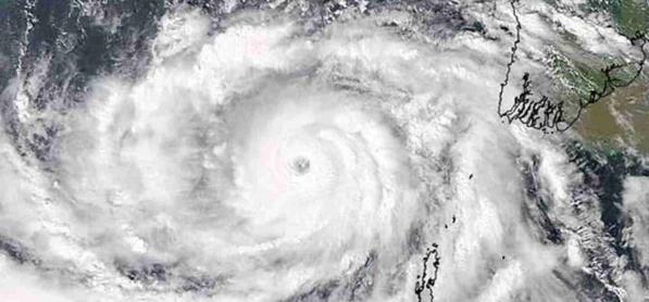
சென்னை: வங்கக் கடலில் நிலை கொண்டிருந்த ஆழ்ந்த காற்றழுத்த தாழ்வு பகுதி, காற்றழுத்த தாழ்வு மண்டலமாக மாறியது. காற்றழுத்த தாழ்வு மண்டலம் அடுத்த 24 மணி நேரத்தில் நிவர் புயலாக வலுப்பெறும் என்று சென்னை வானிலை ஆய்வு மையம் தகவல் தெரிவித்துள்ளது.
தாழ்வு மண்டலம் சென்னையிலிருந்து 740 கிலோமீட்டர், புதுச்சேரியில் இருந்து 700 கிலோ மீட்டர் தொலைவில் மையம் கொண்டுள்ளது. நிவர் புயல் நாளை மறுநாள் பிற்பகல் மாமல்லபுரம் – காரைக்கால் இடையே கரையை கடக்க வாய்ப்புள்ளது.
வங்க கடலில் புயல் உருவாகி உள்ளதால் தமிழகம், புதுச்சேரி மீனவர்கள் கடலுக்கு மீன்பிடிக்க செல்லவில்லை. ராமநாதபுரம், நாகை, புதுச்சேரி மீனவர்கள் தங்களது படகுகளை பாதுகாப்பாக நிறுத்தி வைத்துள்ளனர். நிவர் புயலின் தாக்கத்தினால் இன்று தஞ்சாவூர், திருவாரூர், நாகப்பட்டினம், காரைக்கால் ஆகிய இடங்களில் கனமழை பெய்யும் என சென்னை வானிலை ஆய்வு மையம் தெரிவித்துள்ளது.
கனமழை எச்சரிக்கையை தொடர்ந்து எண்ணூர், கடலூர், காரைக்கால், நாகை, பாம்பன் துறைமுகங்களில் 3-ம் எண் புயல் எச்சரிக்கை கூண்டு ஏற்றப்பட்டுள்ளது.

























